借地、駐車場
【賃貸ガレージ】唐橋 竹之内ガレージ
update2025.01.07
賃貸ガレージ
唐橋 竹之内ガレージ
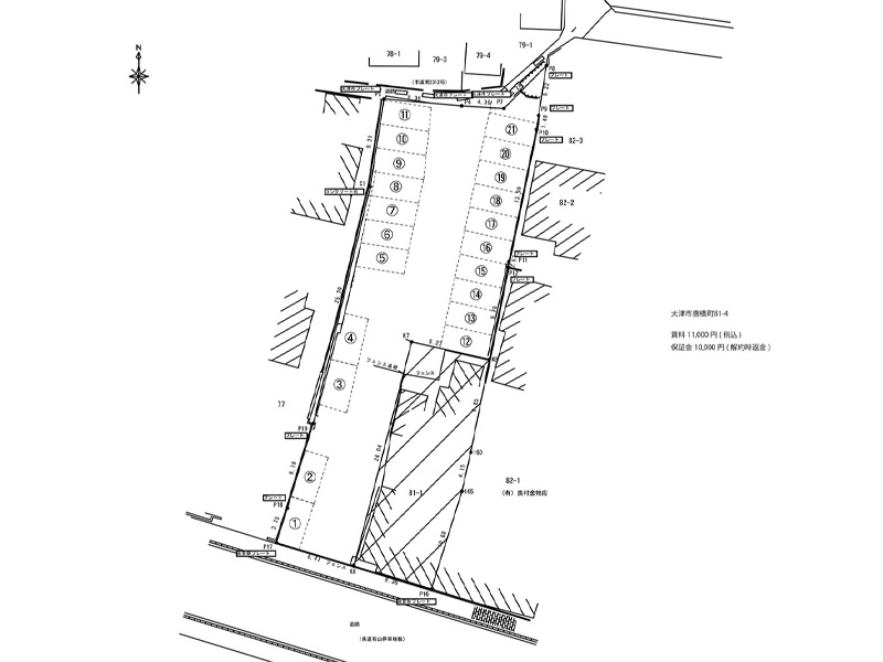
賃 料11,000円
- 所在地
- 滋賀県大津市唐橋町81-4
- 交通
- 京阪電鉄石山坂本線「唐橋前」駅 徒歩6分
京阪電鉄石山坂本線「石山寺」駅 徒歩11分
■契約期間相談可 ■更新料なし ■24時間利用可
- 物件種別
- 賃貸ガレージ
- 備考
- ※保証金:10,000円(解約時返金)
※仲介手数料:11,000円
※車庫証明発行時手数料:5,500円
※更新料なし
※自動更新なので解約の際は1ヶ月前にご連絡をお願い致します。







